Działka z domem na sprzedaż Wiskienica łowicki

Wiskienica Dolna
218000
99 zł/m
2
szczegóły oferty
Rodzaj nieruchomości: Działka
Rodzaj oferty: Sprzedaż
Powierzchnia: 2200 m2
opis nieruchomości

Tel. 691 824 400

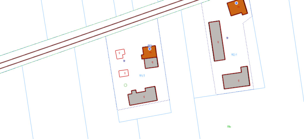
Na sprzedaż działka z zabudowaniami – 2200 m² (dom na sprzedaż)

Oferujemy na sprzedaż działkę o powierzchni 2200 m² (nr 191/3) z zabudowaniami, położoną w miejscowości Wiskienica Dolna, w gminie Zduny, powiat łowicki. Działka znajduje się przy drodze asfaltowej, co zapewnia łatwy dojazd.
Jeśli marzysz o spokojnym, bezpiecznym miejscu z dala od zgiełku miasta, idealnym na cele mieszkaniowe lub rekreacyjne, ta działka spełni Twoje oczekiwania.
 
Dom wybudowany w latach 70-tych, wymaga całkowitego remontu. Jest to parterowy, wolnostojący budynek o powierzchni zabudowy 114 m² i powierzchni użytkowej 48 m².

Pomieszczenia mieszkalne:
2 pokoje
Kuchnia
Łazienka
Dodatkowo w drugiej połowie budynku znajduje się pomieszczenie gospodarcze (widoczne na rzutach).
Media: prąd, woda, centralne ogrzewanie (CO).
Okna: PCV.
Działka: Obszerne podwórko z budynkami gospodarczymi, w tym stodołą i drugim budynkiem z drewna.
 
Sklep spożywczo-przemysłowy położony w odległości 800m od posesji.
Atrakcje w okolicy- Skansen w Maurzycach.
W odległości:
- 8 km od miejscowości Zduny (10 min autem)
- 10 km od miejscowości Żychlin (13 min autem)
- 20 km od miejscowości Łowicz (19  min autem)
W pobliskiej miejscowości Zduny: szkoły, przychodnia zdrowia, przedszkole, sklepy małe i markety, kościół, cmentarz.

Nie ma przeszkód by posiłkować się kredytem przy zakupie. Pomagamy we wszelkich formalnościach!

Serdecznie zapraszam w celu uzyskania większej ilości informacji do kontaktu telefonicznego 7 dni
w tygodniu, w godzinach 8:00-20:00 oraz do oglądania na żywo.

Doradca ds. Nieruchomości
Properton
inżynier budownictwa
Agata Grzegorek
tel. 691 824 400

Ofertę przygotował/a
Agata Grzegorek

    klienci o nas

    powered by getknow